泰州高港:又一座体育公园,最新进展!
信息来源:医药高新区党工委(高港区委)宣传和统战部 发布日期:2024-11-29 09:47 浏览次数: 字号:[  ]

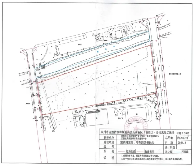
近日,市自然资源和规划局发布泰州市高港区智慧体育公园建设用地规划许可证。智慧体育公园位于野徐镇褚雅社区境内,雅茶路东侧、春晖路西侧,总面积29497平方米,总建筑面积117.99平方米,土地取得方式为划拨。

根据此前发布的项目信息,拟建设步道、笼式球场、户外乒乓球、儿童游乐等项目,公园活动区域包含力量健身、儿童广场、老人健身、青年健身、滑板空间等功能区。

配套设置智能健身器材,如环形智慧健身步道系统、智慧体测亭、酷音单车等,项目建成后将有力推动全区城市体育基础设施建设,让市民实现一站式智慧健身休闲娱乐。(来源:泰州新高发布)